Haltungsinformationen
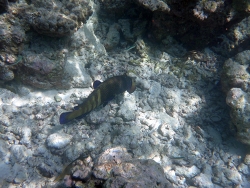
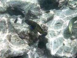
Cephalopholis argus, Schneider, 1801
Eine allgemein häufige Art. Erwachsene Tiere sind benthisch und benthopelagisch in einer Vielzahl von Korallenhabitaten von Gezeitentümpeln bis zu einer Tiefe von 40 m. sie bevorzugen die 1 bis 10 m tiefe Riffzone. Jungtiere bevorzugen flache, geschützte Korallendickichte. Ausgewachsene Tiere findet man in sGruppen von bis zu 12 Adulten, darunter 1 dominantes Männchen. Jede Gruppe bewohnt ein bestimmtes Gebiet (bis zu 2.000 m²), das vom territorialen Männchen verteidigt und in sekundäre Territorien unterteilt wird, die jeweils von einem einzelnen Weibchen bewohnt werden.
Manchmal können sie auch Einzelgänger sein. Erwachsene Tiere ernähren sich hauptsächlich von Fischen (75-95 %) und in geringerem Maße von Krebstieren. Im Roten Meer gehen sie frühmorgens und am späten Nachmittag auf Beutefang. In Madagaskar scheinen sie mehr nachts zu fressen.
Sie sind an der Ciguatera Vergiftung auf einigen Inseln im Pazifik beteiligt. Man kann sie auf Fischmärkten in Hongkong finden. Sie sind für die Fischerei im gesamten indisch-westpazifischen Raum von bedeutung nd werden oft mit Angel, Speer und in Fallen gefangen.
Garnelen/kleine Fische im Aquarium?
Aufgrund des natürlichen Jagdinstiktes werden Garnelen oder auch kleine Fische als Futter angesehen und bei passender Größe auch gejagt und gefressen.
Auch Putzergarnelen können dem Jäger zum Opfer fallen, wenn der Hunger entsprechen groß ist.
Futter: Auch Stinte, sowie geschältes Krabbenfleisch.
Der Verzehr dieses Tiers kann die gefürchtete Ciguatera-Fischvergiftung auslösen.
Die Ursache liegt bei bestimmten Einzellern (Dinoflagellaten, wie z. B. Gambierdiscus toxicus), diese produzieren im Körper von harmlosen und ansonsten gut verträglichen Speisefischen Gifte, die beim Menschen zu verschiedenen Symptomen führen können:
Anfangs-Beschwerden: Schwitzen, Taubheitsgefühl und Brennen, vor allem im Mundbereich.
Später folgen Schüttelfrost, Schwindelgefühle, Übelkeit, Erbrechen, Durchfälle, Unterleibsschmerzen und Muskelkrämpfe. Parästhesien (Juckreiz, Kribbeln, Taubheitsgefühl) an den Lippen, der Mundschleimhaut und vor allen an Handinnenflächen und Fußsohlen, Taubheitsgefühle in Händen, Füßen sowie im Gesicht.
Lähmungen der Skelettmuskulatur, einschließlich der Atemmuskulatur, Schwindel und Koordinationsstörungen können auftreten. Muskelschmerzen, Gelenkschmerzen, Kopfschmerzen, Zahnschmerzen, Frösteln und Schwitzen sind weitere Symptome. Allgemeines Schwächegefühl entsteht. Alkoholverzehr verschlimmert die Beschwerden.
Seltener sind lebensbedrohlicher Blutdruckabfall und Herzrasen (Tachykardie) oder das Gegenteil davon. Insgesamt ist die Erkrankung sehr selten, sie führt jedoch in etwa 7% aller Fälle zum Tod.
Achtung:
Ein Gegengift existiert nicht!
Erste Hilfe:
Möglichst frühzeitig: Auspumpen des Magens, wenn nicht von selbst Erbrechen erfolgt
Aktivkohle (medizinische Kohle) geben zur Bindung der Giftstoffe: Dosierung ist 1 g / kg Körpergewicht.
Ausscheidung fördern: Als Akuttherapie kann der behandelnde Arzt eine Infusion von 20 % Mannitol (Zuckeralkohol) erfolgen. Der Wirkungsmechanismus ist unklar. Mannitol fördert die Urinausscheidung, deshalb darf diese Maßnahme erst nach Ergänzen von Flüssigkeit und Elektrolyten zur Vermeidung eines Kreislaufzusammenbruchs erfolgen.
Rehydratation mit Flüssigkeit und Elektrolyten ist sowieso eine sinnvolle Maßnahme, insbesondere nach Erbrechen und Durchfall.
Bei lebensbedrohlichen Situationen sollten Plasmaexpander gegeben werden, also Infusionen, die Volumen des Blutes vergrößern und über längere Zeit im Kreislauf verbleiben.
Eine Herz-Kreislauf-Symptomatik kann weitere ärztliche Maßnahmen erforderlich machen: Bei einer Verlangsamung des Herzschlages kann Atropin, bei einem Blutdruckabfall Dopamin gegeben werden.
Mehr Informationen finden Sie hier:
http://www.dr-bernhard-peter.de/Apotheke/seite116.htm
Synonyme:
Bodianus guttatus Bloch, 1790
Bodianus jacobevertsen Lacepède, 1802
Bodianus jacob-evertsen Lacepède, 1802
Cephalopholis guttata (Bloch)
Cephalopolis argus Schneider, 1801
Epinephelus argus (Schneider, 1801)
Serranus guttatus (Bloch, 1790)
Serranus immunerur Montrouzier, 1857
Serranus myriaster Valenciennes, 1828
Serranus thyrsites Saville-Kent, 1893
Eine allgemein häufige Art. Erwachsene Tiere sind benthisch und benthopelagisch in einer Vielzahl von Korallenhabitaten von Gezeitentümpeln bis zu einer Tiefe von 40 m. sie bevorzugen die 1 bis 10 m tiefe Riffzone. Jungtiere bevorzugen flache, geschützte Korallendickichte. Ausgewachsene Tiere findet man in sGruppen von bis zu 12 Adulten, darunter 1 dominantes Männchen. Jede Gruppe bewohnt ein bestimmtes Gebiet (bis zu 2.000 m²), das vom territorialen Männchen verteidigt und in sekundäre Territorien unterteilt wird, die jeweils von einem einzelnen Weibchen bewohnt werden.
Manchmal können sie auch Einzelgänger sein. Erwachsene Tiere ernähren sich hauptsächlich von Fischen (75-95 %) und in geringerem Maße von Krebstieren. Im Roten Meer gehen sie frühmorgens und am späten Nachmittag auf Beutefang. In Madagaskar scheinen sie mehr nachts zu fressen.
Sie sind an der Ciguatera Vergiftung auf einigen Inseln im Pazifik beteiligt. Man kann sie auf Fischmärkten in Hongkong finden. Sie sind für die Fischerei im gesamten indisch-westpazifischen Raum von bedeutung nd werden oft mit Angel, Speer und in Fallen gefangen.
Garnelen/kleine Fische im Aquarium?
Aufgrund des natürlichen Jagdinstiktes werden Garnelen oder auch kleine Fische als Futter angesehen und bei passender Größe auch gejagt und gefressen.
Auch Putzergarnelen können dem Jäger zum Opfer fallen, wenn der Hunger entsprechen groß ist.
Futter: Auch Stinte, sowie geschältes Krabbenfleisch.
Der Verzehr dieses Tiers kann die gefürchtete Ciguatera-Fischvergiftung auslösen.
Die Ursache liegt bei bestimmten Einzellern (Dinoflagellaten, wie z. B. Gambierdiscus toxicus), diese produzieren im Körper von harmlosen und ansonsten gut verträglichen Speisefischen Gifte, die beim Menschen zu verschiedenen Symptomen führen können:
Anfangs-Beschwerden: Schwitzen, Taubheitsgefühl und Brennen, vor allem im Mundbereich.
Später folgen Schüttelfrost, Schwindelgefühle, Übelkeit, Erbrechen, Durchfälle, Unterleibsschmerzen und Muskelkrämpfe. Parästhesien (Juckreiz, Kribbeln, Taubheitsgefühl) an den Lippen, der Mundschleimhaut und vor allen an Handinnenflächen und Fußsohlen, Taubheitsgefühle in Händen, Füßen sowie im Gesicht.
Lähmungen der Skelettmuskulatur, einschließlich der Atemmuskulatur, Schwindel und Koordinationsstörungen können auftreten. Muskelschmerzen, Gelenkschmerzen, Kopfschmerzen, Zahnschmerzen, Frösteln und Schwitzen sind weitere Symptome. Allgemeines Schwächegefühl entsteht. Alkoholverzehr verschlimmert die Beschwerden.
Seltener sind lebensbedrohlicher Blutdruckabfall und Herzrasen (Tachykardie) oder das Gegenteil davon. Insgesamt ist die Erkrankung sehr selten, sie führt jedoch in etwa 7% aller Fälle zum Tod.
Achtung:
Ein Gegengift existiert nicht!
Erste Hilfe:
Möglichst frühzeitig: Auspumpen des Magens, wenn nicht von selbst Erbrechen erfolgt
Aktivkohle (medizinische Kohle) geben zur Bindung der Giftstoffe: Dosierung ist 1 g / kg Körpergewicht.
Ausscheidung fördern: Als Akuttherapie kann der behandelnde Arzt eine Infusion von 20 % Mannitol (Zuckeralkohol) erfolgen. Der Wirkungsmechanismus ist unklar. Mannitol fördert die Urinausscheidung, deshalb darf diese Maßnahme erst nach Ergänzen von Flüssigkeit und Elektrolyten zur Vermeidung eines Kreislaufzusammenbruchs erfolgen.
Rehydratation mit Flüssigkeit und Elektrolyten ist sowieso eine sinnvolle Maßnahme, insbesondere nach Erbrechen und Durchfall.
Bei lebensbedrohlichen Situationen sollten Plasmaexpander gegeben werden, also Infusionen, die Volumen des Blutes vergrößern und über längere Zeit im Kreislauf verbleiben.
Eine Herz-Kreislauf-Symptomatik kann weitere ärztliche Maßnahmen erforderlich machen: Bei einer Verlangsamung des Herzschlages kann Atropin, bei einem Blutdruckabfall Dopamin gegeben werden.
Mehr Informationen finden Sie hier:
http://www.dr-bernhard-peter.de/Apotheke/seite116.htm
Synonyme:
Bodianus guttatus Bloch, 1790
Bodianus jacobevertsen Lacepède, 1802
Bodianus jacob-evertsen Lacepède, 1802
Cephalopholis guttata (Bloch)
Cephalopolis argus Schneider, 1801
Epinephelus argus (Schneider, 1801)
Serranus guttatus (Bloch, 1790)
Serranus immunerur Montrouzier, 1857
Serranus myriaster Valenciennes, 1828
Serranus thyrsites Saville-Kent, 1893






Dr. Paddy Ryan, USA