Haltungsinformationen
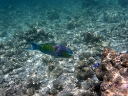
Chlorurus strongylocephalus (Bleeker, 1855)
Papageifische (Scarinae) sind eine Unterfamilie der Lippfische (Labridae). Derzeit gibt es zehn Gattungen mit etwa 80 Arten. Die Farbmuster der Geschlechter sind dabei so unterschiedlich, dass Forscher lange Zeit von vielfach mehr verschiedenen Arten ausgegangen sind. Viele Arten sind so falsch beschrieben worden.Er ist daher auch unter dem Synonym Scarus strongylocephalus bekannt!
Manche Arten schlafen in einer Art Schleimkokon, der sie gegen Asseln und andere Tiere schützt, andere aber auch in Spalten. Der Kokon ist dabei offen, so das auch Wasser dort hindurchströmen kann. Papageifische leben vorwiegend im Korallenriff.
Haltung:
Sind wie alle Papageifische reine Algenschaber und sollten sich im Normalfall nicht an Korallen vergreifen. Bisher sind nur dann Probleme aufgetreten, wenn die Fische keine Steine mehr zum Abgrasen gefunden haben. Also in völlig zugestellten SPS-Becken, in denen man keine Substratsteine mehr sieht.
Chlorurus strongylocephalus bewohnt Lagunen und seewärts gelegene Riffe. Juvenile Tiere sind in der Regel Einzelgänger, adulte Tiere bilden meist sehr große Schulen. Die Ernährung erfolgt hauptsächlich von Algen.
Es gibt weitere Papageifische aus dieser Art, die dem Chlorurus strongylocephalus sehr ähneln, jedoch in anderen Gebieten vorkommen.
- Chlorurus gibbus im Roten Meer
- Chlorurus microrhinos im West-Zentral Pazifischen Ozean
Synonyme:
Callyodon strongylocephalus (Bleeker, 1855) · unaccepted
Chlorurus strongycephalus (Bleeker, 1855) · unaccepted
Scarus strongylocephalus Bleeker, 1855 · unaccepted
Papageifische (Scarinae) sind eine Unterfamilie der Lippfische (Labridae). Derzeit gibt es zehn Gattungen mit etwa 80 Arten. Die Farbmuster der Geschlechter sind dabei so unterschiedlich, dass Forscher lange Zeit von vielfach mehr verschiedenen Arten ausgegangen sind. Viele Arten sind so falsch beschrieben worden.Er ist daher auch unter dem Synonym Scarus strongylocephalus bekannt!
Manche Arten schlafen in einer Art Schleimkokon, der sie gegen Asseln und andere Tiere schützt, andere aber auch in Spalten. Der Kokon ist dabei offen, so das auch Wasser dort hindurchströmen kann. Papageifische leben vorwiegend im Korallenriff.
Haltung:
Sind wie alle Papageifische reine Algenschaber und sollten sich im Normalfall nicht an Korallen vergreifen. Bisher sind nur dann Probleme aufgetreten, wenn die Fische keine Steine mehr zum Abgrasen gefunden haben. Also in völlig zugestellten SPS-Becken, in denen man keine Substratsteine mehr sieht.
Chlorurus strongylocephalus bewohnt Lagunen und seewärts gelegene Riffe. Juvenile Tiere sind in der Regel Einzelgänger, adulte Tiere bilden meist sehr große Schulen. Die Ernährung erfolgt hauptsächlich von Algen.
Es gibt weitere Papageifische aus dieser Art, die dem Chlorurus strongylocephalus sehr ähneln, jedoch in anderen Gebieten vorkommen.
- Chlorurus gibbus im Roten Meer
- Chlorurus microrhinos im West-Zentral Pazifischen Ozean
Synonyme:
Callyodon strongylocephalus (Bleeker, 1855) · unaccepted
Chlorurus strongycephalus (Bleeker, 1855) · unaccepted
Scarus strongylocephalus Bleeker, 1855 · unaccepted






Gerrit